相模原市中央区・緑区・橋本エリアの売買&賃貸不動産物件情報リビングホーム

リビングホームマスコット 有限会社リビングホーム

042-770-6050

[営業時間] 9:00~18:00 [定休日] 水曜日

最終更新: 2022年2月28日

トップページ › 府中市 › 競売0128・西府駅・分倍河原駅2駅徒歩圏!エフユニバース府中の杜の物件詳細

  • 最近見た物件
  • お気に入り物件

競売0128・西府駅・分倍河原駅2駅徒歩圏!エフユニバース府中の杜の物件詳細

競売・2駅徒歩圏!エフユニバース府中の杜

事件番号:令和07年(ケ)第127号

情報更新日:2026年01月17日 NEW

JR南武線「西府」駅・京王線「分倍河原」駅徒歩圏の好立地に建つ大規模人気マンションエフユニバース府中の杜2階部分の陽当たり良好な南向き4LDK
新築に拘らない、少しでも安価に物件を買いたい方におすすめの競売不動産!
競売だからこそのお手頃価格で落札を!!競売物件であっても住宅ローン&リフォームローン...
コメントを見る

ここがポイント
  • 西府駅・分倍河原駅2駅徒歩圏の人気街区
    永住でき南向き4LDKタイプの間取りです
    入札期間:01月21日~8年01月28日
    開札期日:令和08年02月03日
    買受申出保証金 5,958,000円


最寄り駅 徒歩
住所
価格 面積
間取り
種別
築年月
JR南武線 『西府駅』 徒歩19分
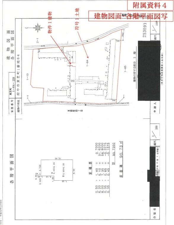
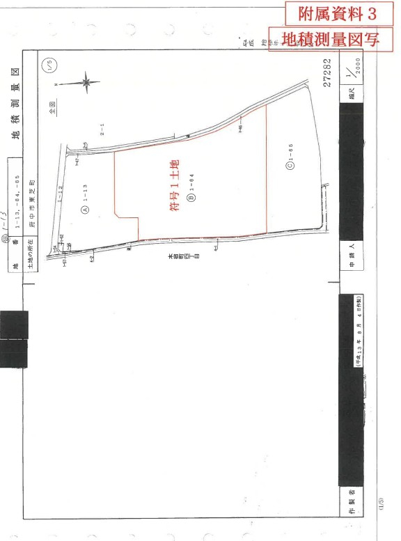
東京都府中市東芝町1丁目
2,979万円 専:95㎡
間取り:4LDK
マンション
2003年11月
お気に入りにする 印刷用ページ
042-770-6050
お問合せ 空室確認・下見依頼など

【営業時間】9:00〜18:00
【定休日】毎週水曜日・隔週火曜日・GW・夏季休業・年末年始

前へ 西府駅分倍河原駅徒歩エフユニバース府中の杜物件不動産任意売却競売物件入札サポートリビングホーム 次へ

西府駅分倍河原駅徒歩エフユニバース府中の杜物件不動産任意売却競売物件入札サポートリビングホーム

拡大する
  • 西府駅分倍河原駅徒歩エフユニバース府中の杜物件不動産任意売却競売物件入札サポートリビングホーム
  • 西府駅分倍河原駅徒歩エフユニバース府中の杜物件不動産任意売却競売物件入札サポートリビングホーム
  • 西府駅分倍河原駅徒歩エフユニバース府中の杜物件不動産任意売却競売物件入札サポートリビングホーム
  • 西府駅分倍河原駅徒歩エフユニバース府中の杜物件不動産任意売却競売物件入札サポートリビングホーム
  • 西府駅分倍河原駅徒歩エフユニバース府中の杜物件不動産任意売却競売物件入札サポートリビングホーム
  • 西府駅分倍河原駅徒歩エフユニバース府中の杜物件不動産任意売却競売物件入札サポートリビングホーム
  • 西府駅分倍河原駅徒歩エフユニバース府中の杜物件不動産任意売却競売物件入札サポートリビングホーム
  • 西府駅分倍河原駅徒歩エフユニバース府中の杜物件不動産任意売却競売物件入札サポートリビングホーム
  • 西府駅分倍河原駅徒歩エフユニバース府中の杜物件不動産任意売却競売物件入札サポートリビングホーム
  • 西府駅分倍河原駅徒歩エフユニバース府中の杜物件不動産任意売却競売物件入札サポートリビングホーム
  • 西府駅分倍河原駅徒歩エフユニバース府中の杜物件不動産任意売却競売物件入札サポートリビングホーム
  • 西府駅分倍河原駅徒歩エフユニバース府中の杜物件不動産任意売却競売物件入札サポートリビングホーム
  • 西府駅分倍河原駅徒歩エフユニバース府中の杜物件不動産任意売却競売物件入札サポートリビングホーム
  • 西府駅分倍河原駅徒歩エフユニバース府中の杜物件不動産任意売却競売物件入札サポートリビングホーム
  • 西府駅分倍河原駅徒歩エフユニバース府中の杜物件不動産任意売却競売物件入札サポートリビングホーム
  • 西府駅分倍河原駅徒歩エフユニバース府中の杜物件不動産任意売却競売物件入札サポートリビングホーム
  • 西府駅分倍河原駅徒歩エフユニバース府中の杜物件不動産任意売却競売物件入札サポートリビングホーム
  • 西府駅分倍河原駅徒歩エフユニバース府中の杜物件不動産任意売却競売物件入札サポートリビングホーム
  • 西府駅分倍河原駅徒歩エフユニバース府中の杜物件不動産任意売却競売物件入札サポートリビングホーム

物件概要

物件名 競売0128・西府駅・分倍河原駅2駅徒歩圏!エフユニバース府中の杜
所在地 東京都府中市東芝町1丁目 周辺地図
交通 JR南武線 『西府駅』 徒歩19分 /京王線 『分倍河原駅』 徒歩22分
価格 2,979万円
坪単価 ㎡単価
その他料金 物件価格は売却基準額となり、実際の入札・落札価格とは異なります。詳細はお問い合わせください。
入札にあたっては事前に売買基準価格の20%相当の買受申出保証金の納付が必要(落札出来ない場合は返金)となります。
マンションの場合、滞納管理費がある場合は原則として落札者負担となります。
駐車場
バイク置き場 有り 駐輪場 有り
間取り 4LDK 間取り詳細 4LDK LDK,洋室(3),和室,浴室,洗面室,トイレ等 専有面積
バルコニー面積
専:95㎡
バ:-
種別/構造 マンション/SRC 築年月 2003年11月 引渡し 落札、売却決定後になります。
現況 占有者あり 総戸数/販売戸数 587戸/1戸 土地権利 所有権
借地料 用途地域 第一種中高層住居専用地域
準工業地域
地勢 平坦
階部分/階建て 地上2階部分/地上15階建て 主要採光面
設備 追い焚き|浴室乾燥機|シャワー付き洗面化粧台|シャワートイレ|トイレ数:1|クローゼット|宅配BOX|BSアンテナ|ガスコンロ|システムキッチン|カウンターキッチン|独立型キッチン|食洗機|給湯|3点給湯|フローリング|バルコニー|オートロック|ディンプルキー|エレベーター|駐輪場|バイク置き場|
条件 バリアフリー|
備考 競売物件の場合には建物室内の見学は一切できません。
入居にあたり室内のリフォームを要す場合があります。(落札者負担)
開札前に債権者により取り下げとなる場合があります
対象物件が賃貸中の場合引渡しが6ヶ月猶予される場合があります。
競売サポート費用の詳細は以下の「競売不動産購入サポート」をご覧ください。

更新日 2026年01月17日 情報有効期限 2026年01月31日
お問合せ番号 取引形態 仲介
外部リンク 競売不動産物件購入サポート
YouTube https://www.youtube.com/watch?v=9IZzRWNkBDU
管理組合 管理人状況 日勤 管理形態 管理会社に全部委託
管理費 16,160円 うち管理費消費税 修繕積立金 23,760円
管理会社名 大成有楽不動産(株)

※各種情報と現状に差異がある場合は、現状優先となります。

お問合せ 空室確認・下見依頼など

物件周辺地図

ページトップ