相模原市中央区・緑区・橋本エリアの売買&賃貸不動産物件情報リビングホーム

リビングホームマスコット 有限会社リビングホーム

042-770-6050

[営業時間] 9:00~18:00 [定休日] 水曜日

最終更新: 2022年2月28日

トップページ › 厚木市 › 競売0115・緑ケ丘第3住宅2302号棟4階1LDKの物件詳細

  • 最近見た物件
  • お気に入り物件

競売0115・緑ケ丘第3住宅2302号棟4階1LDKの物件詳細

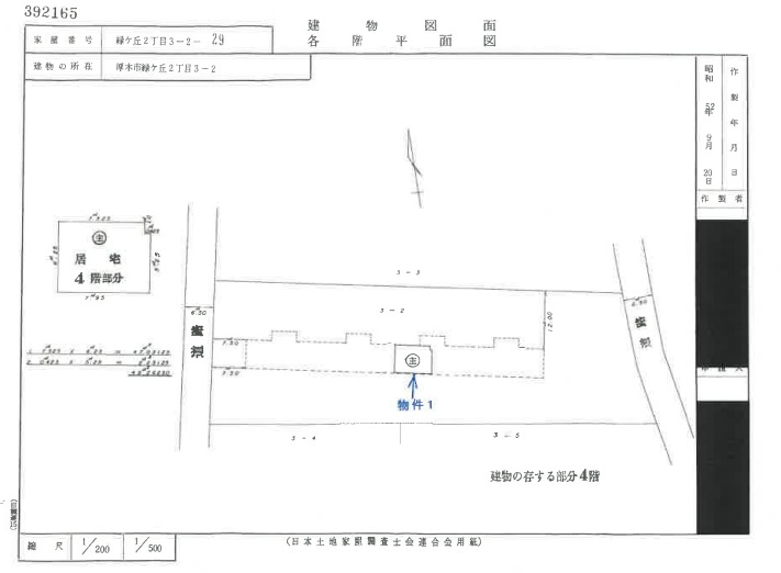
競売・緑ケ丘第3住宅2302号棟4階

事件番号:令和06年(ヌ)第23号

情報更新日:2025年12月20日 NEW

本厚木駅バス便の厚木市 緑ケ丘2丁目街区に建つ緑ケ丘第3住宅2302号棟4階南向き1LDKタイプです
新築に拘らない、少しでも安価に物件を買いたい方におすすめの競売不動産!
競売だからこそのお手頃価格で落札を!!競売物件であっても住宅ローン&リフォームローンのご利用ができます。
競売の専門家!競売不動産取扱主...
コメントを見る

ここがポイント
  • 本厚木駅バス便の街区に建つ緑ケ丘第3住宅
    陽当たり良好な南向き1LDKタイプ間取り
    入札期間:01月08日~8年01月15日
    開札期日:令和08年01月21日
    買受申出保証金 128,000円


最寄り駅 徒歩
住所
価格 面積
間取り
種別
築年月
小田急線 『本厚木駅』 バス14分 緑ケ丘 停歩2分
神奈川県厚木市緑ケ丘2丁目
64万円 専:49.26㎡
間取り:1LDK
マンション
お気に入りにする 印刷用ページ
042-770-6050
お問合せ 空室確認・下見依頼など

【営業時間】9:00〜18:00
【定休日】毎週水曜日・隔週火曜日・GW・夏季休業・年末年始

前へ 本厚木駅バス便厚木市緑ヶ丘第3住宅物件不動産任意売却競売物件入札サポートリビングホーム 次へ

本厚木駅バス便厚木市緑ヶ丘第3住宅物件不動産任意売却競売物件入札サポートリビングホーム

拡大する
  • 本厚木駅バス便厚木市緑ヶ丘第3住宅物件不動産任意売却競売物件入札サポートリビングホーム
  • 本厚木駅バス便厚木市緑ヶ丘第3住宅物件不動産任意売却競売物件入札サポートリビングホーム
  • 本厚木駅バス便厚木市緑ヶ丘第3住宅物件不動産任意売却競売物件入札サポートリビングホーム
  • 本厚木駅バス便厚木市緑ヶ丘第3住宅物件不動産任意売却競売物件入札サポートリビングホーム
  • 本厚木駅バス便厚木市緑ヶ丘第3住宅物件不動産任意売却競売物件入札サポートリビングホーム
  • 本厚木駅バス便厚木市緑ヶ丘第3住宅物件不動産任意売却競売物件入札サポートリビングホーム
  • 本厚木駅バス便厚木市緑ヶ丘第3住宅物件不動産任意売却競売物件入札サポートリビングホーム
  • 本厚木駅バス便厚木市緑ヶ丘第3住宅物件不動産任意売却競売物件入札サポートリビングホーム
  • 本厚木駅バス便厚木市緑ヶ丘第3住宅物件不動産任意売却競売物件入札サポートリビングホーム
  • 本厚木駅バス便厚木市緑ヶ丘第3住宅物件不動産任意売却競売物件入札サポートリビングホーム
  • 本厚木駅バス便厚木市緑ヶ丘第3住宅物件不動産任意売却競売物件入札サポートリビングホーム
  • 本厚木駅バス便厚木市緑ヶ丘第3住宅物件不動産任意売却競売物件入札サポートリビングホーム
  • 本厚木駅バス便厚木市緑ヶ丘第3住宅物件不動産任意売却競売物件入札サポートリビングホーム
  • 本厚木駅バス便厚木市緑ヶ丘第3住宅物件不動産任意売却競売物件入札サポートリビングホーム
  • 本厚木駅バス便厚木市緑ヶ丘第3住宅物件不動産任意売却競売物件入札サポートリビングホーム
  • 本厚木駅バス便厚木市緑ヶ丘第3住宅物件不動産任意売却競売物件入札サポートリビングホーム

物件概要

物件名 競売0115・緑ケ丘第3住宅2302号棟4階1LDK
所在地 神奈川県厚木市緑ケ丘2丁目 周辺地図
交通 小田急線 『本厚木駅』 バス14分 緑ケ丘 停歩2分
価格 64万円
坪単価 ㎡単価
その他料金 物件価格は売却基準額となり、実際の入札・落札価格とは異なります。詳細はお問い合わせください。
入札にあたっては事前に売買基準価格の20%相当の買受申出保証金の納付が必要(落札出来ない場合は返金)となります。
マンションの場合、滞納管理費がある場合は原則として落札者負担となります。

駐車場
バイク置き場 駐輪場 有り
間取り 1LDK 間取り詳細 4階部分 49.26m2 専有面積
バルコニー面積
専:49.26㎡
バ:-
種別/構造 マンション/RC 築年月 引渡し 落札、売却決定後になります。
現況 占有者あり 総戸数/販売戸数 32戸/- 土地権利 所有権
借地料 用途地域 第一種中高層住居専用地域 地勢 平坦
階部分/階建て 地上4階部分/地上4階建て 主要採光面
設備 シャワートイレ|トイレ数:1|給湯|3点給湯|フローリング|バルコニー|駐輪場|
条件
備考 競売物件の場合には建物室内の見学は一切できません。
入居にあたり室内のリフォームを要す場合があります。(落札者負担)
開札前に債権者により取り下げとなる場合があります
対象物件が賃貸中の場合引渡しが6ヶ月猶予される場合があります。
競売サポート費用の詳細は以下の「競売不動産購入サポート」をご覧ください。
更新日 2025年12月20日 情報有効期限 2026年01月03日
お問合せ番号 取引形態 仲介
外部リンク 競売不動産物件購入サポート
管理組合 管理人状況 巡回 管理形態 管理会社に全部委託
管理費 11,530円 うち管理費消費税 修繕積立金 14,000円
管理会社名 一社)かながわ土地建物保全協会

※各種情報と現状に差異がある場合は、現状優先となります。

お問合せ 空室確認・下見依頼など

物件周辺地図

ページトップ