相模原市中央区・緑区・橋本エリアの売買&賃貸不動産物件情報リビングホーム

リビングホームマスコット 有限会社リビングホーム

042-770-6050

[営業時間] 9:00~18:00 [定休日] 水曜日

最終更新: 2022年2月28日

トップページ › 足柄上郡大井町 › 競売0115・相模金子駅徒歩3分大井町金子3LDK一戸建の物件詳細

  • 最近見た物件
  • お気に入り物件

競売0115・相模金子駅徒歩3分大井町金子3LDK一戸建の物件詳細

競売・駅徒歩3分大井町金子3LDK一戸建

事件番号:令和07年(ケ)第76号

情報更新日:2025年12月20日 NEW

JR御殿場線「相模金子」駅 南方 約350m 徒歩3分の平坦な住宅街に建つH23年築3LDK建物は宅地内Pあり
新築に拘らない、少しでも安価に物件を買いたい方におすすめの競売不動産!
競売だからこそのお手頃価格で落札を!!競売物件であっても住宅ローン&リフォームローンのご利用ができます。
競売の専門家!競売...
コメントを見る

ここがポイント
  • JR御殿場線相模金子駅徒歩3分の立地
    H23年築3LDK建物は宅地内Pあり
    入札期間:01月08日~08年01月15
    開札期日:令和08年01月21日
    買受申出保証金 1,732,800円


最寄り駅 徒歩
住所
価格 面積
間取り
種別
築年月
JR御殿場線 『相模金子駅』 徒歩3分
神奈川県足柄上郡大井町金子
866.4万円 建:99.36㎡
土:124.66㎡
間取り:3LDK+S
一戸建て
2011年05月
お気に入りにする 印刷用ページ
042-770-6050
お問合せ 空室確認・下見依頼など

【営業時間】9:00〜18:00
【定休日】毎週水曜日・隔週火曜日・GW・夏季休業・年末年始

前へ JR御殿場線相模金子駅徒歩3LDK一戸建て物件不動産任意売却競売物件入札サポートリビングホーム 次へ

JR御殿場線相模金子駅徒歩3LDK一戸建て物件不動産任意売却競売物件入札サポートリビングホーム

拡大する
  • JR御殿場線相模金子駅徒歩3LDK一戸建て物件不動産任意売却競売物件入札サポートリビングホーム
  • JR御殿場線相模金子駅徒歩3LDK一戸建て物件不動産任意売却競売物件入札サポートリビングホーム
  • JR御殿場線相模金子駅徒歩3LDK一戸建て物件不動産任意売却競売物件入札サポートリビングホーム
  • JR御殿場線相模金子駅徒歩3LDK一戸建て物件不動産任意売却競売物件入札サポートリビングホーム
  • JR御殿場線相模金子駅徒歩3LDK一戸建て物件不動産任意売却競売物件入札サポートリビングホーム
  • JR御殿場線相模金子駅徒歩3LDK一戸建て物件不動産任意売却競売物件入札サポートリビングホーム
  • JR御殿場線相模金子駅徒歩3LDK一戸建て物件不動産任意売却競売物件入札サポートリビングホーム
  • JR御殿場線相模金子駅徒歩3LDK一戸建て物件不動産任意売却競売物件入札サポートリビングホーム
  • JR御殿場線相模金子駅徒歩3LDK一戸建て物件不動産任意売却競売物件入札サポートリビングホーム
  • JR御殿場線相模金子駅徒歩3LDK一戸建て物件不動産任意売却競売物件入札サポートリビングホーム
  • JR御殿場線相模金子駅徒歩3LDK一戸建て物件不動産任意売却競売物件入札サポートリビングホーム
  • JR御殿場線相模金子駅徒歩3LDK一戸建て物件不動産任意売却競売物件入札サポートリビングホーム
  • JR御殿場線相模金子駅徒歩3LDK一戸建て物件不動産任意売却競売物件入札サポートリビングホーム
  • JR御殿場線相模金子駅徒歩3LDK一戸建て物件不動産任意売却競売物件入札サポートリビングホーム
  • JR御殿場線相模金子駅徒歩3LDK一戸建て物件不動産任意売却競売物件入札サポートリビングホーム
  • JR御殿場線相模金子駅徒歩3LDK一戸建て物件不動産任意売却競売物件入札サポートリビングホーム
  • JR御殿場線相模金子駅徒歩3LDK一戸建て物件不動産任意売却競売物件入札サポートリビングホーム

物件概要

物件名 競売0115・相模金子駅徒歩3分大井町金子3LDK一戸建
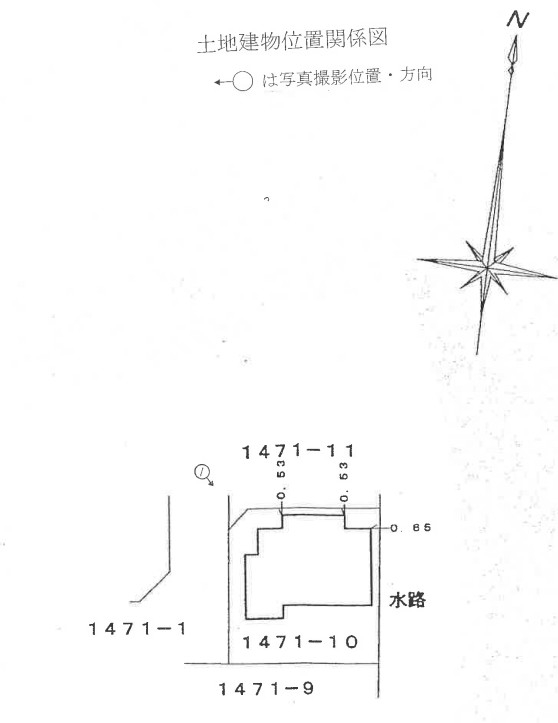
所在地 神奈川県足柄上郡大井町金子 周辺地図
交通 JR御殿場線 『相模金子駅』 徒歩3分
価格 866.4万円
坪単価 ㎡単価
その他料金 新築に拘らない、少しでも安価に物件を買いたい方におすすめの競売不動産!
競売だからこそのお手頃価格で落札を!!競売物件であっても住宅ローン&リフォームローンのご利用ができます。
競売の専門家!競売不動産取扱主任者が入札から引き渡しまで完全サポートします。詳細はお気軽にお問い合わせください。

駐車場 敷地内に有(1台分)
バイク置き場 駐輪場
間取り 3LDK+S 間取り詳細 1階 54.65m2 2階 44.71m2 建物面積
土地面積
建:99.36㎡
土:124.66㎡
種別/構造 一戸建て/ブロック 築年月 2011年05月 引渡し 落札、売却決定後になります。
現況 占有者あり 総戸数/販売戸数 -/- 土地権利 所有権
借地料 都市計画 市街化区域 用途地域 第一種中高層住居専用地域
地目 宅地 地勢 平坦
接道状況 西側道路に面す
セットバック 主要採光面 私道負担面積
建ぺい率 60% 容積率 200%
設備 追い焚き|シャワー付き洗面化粧台|シャワートイレ|トイレ数:2|クローゼット|床下収納|ガスコンロ|システムキッチン|カウンターキッチン|対面式キッチン|給湯|3点給湯|フローリング|バルコニー|TVモニタ付インタホン|ペアガラス|公営水道|プロパンガス|本下水道|
条件
備考 競売物件の場合には建物室内の見学は一切できません。
入居にあたり室内のリフォームを要す場合があります。(落札者負担)
開札前に債権者により取り下げとなる場合があります
対象物件が賃貸中の場合引渡しが6ヶ月猶予される場合があります。
競売サポート費用の詳細は以下の「競売不動産購入サポート」をご覧ください。
更新日 2025年12月20日 情報有効期限 2026年01月03日
お問合せ番号 取引形態 仲介
外部リンク 競売不動産物件購入サポート

※各種情報と現状に差異がある場合は、現状優先となります。

お問合せ 空室確認・下見依頼など

物件周辺地図

ページトップ